logo-zurnal24.si-full logo-zurnal24.si-reduced

Filipine prizadel supertajfun

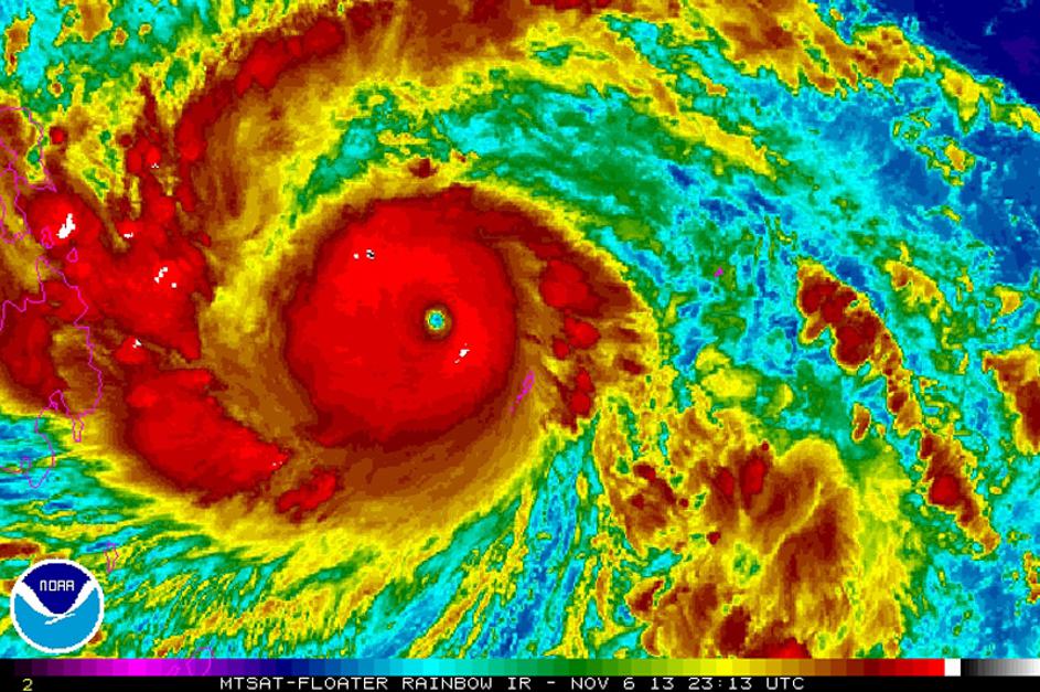
Supertajfun Jolanda
Filipini tajfun Filipini tajfun Reuters Filipini tajfun
tajfun Haiyan Tajfun Haiyan Reuters tajfun Haiyan
tajfun Haiyan Tajfun Haiyan Reuters tajfun Haiyan
tajfun Haiyan Tajfun Haiyan Reuters tajfun Haiyan
Filipini tajfun Prebivalci Filipinov se skušajo zaščititi pred tajfunom EPA Filipini tajfun
Filipini tajfun Prebivalci Filipinov se skušajo zaščititi pred tajfunom EPA Filipini tajfun
Filipini tajfun Prebivalci Filipinov se skušajo zaščititi pred tajfunom EPA Filipini tajfun
Filipini tajfun Prebivalci Filipinov se skušajo zaščititi pred tajfunom EPA Filipini tajfun
/ 9