logo-zurnal24.si-full logo-zurnal24.si-reduced

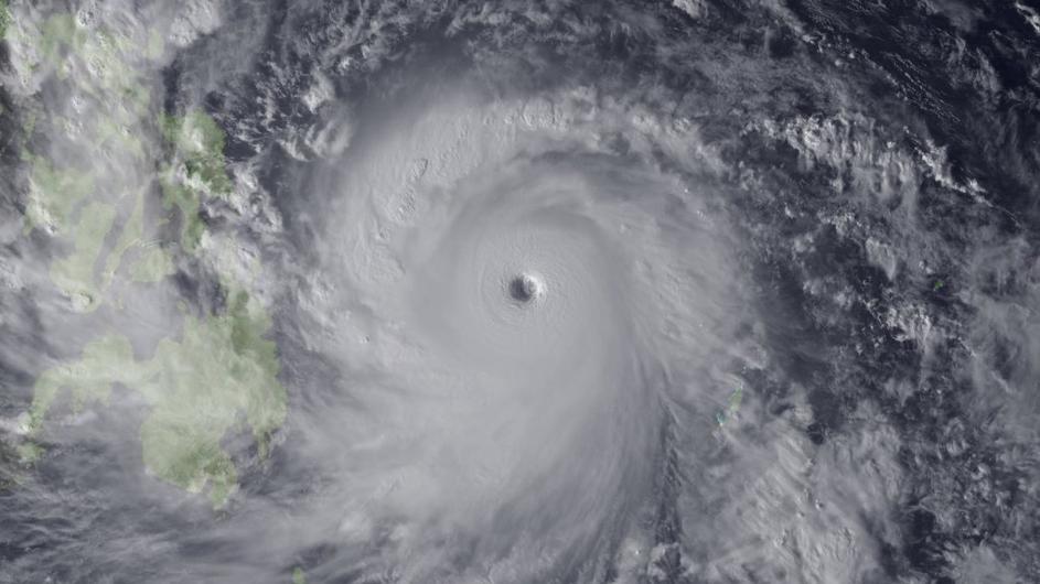
Supertajfun terjal vsaj 10 tisoč žrtev

tajfun Filipini Reuters tajfun Filipini
tajfun Filipini EPA tajfun Filipini
tajfun Filipini EPA tajfun Filipini
tajfun Filipini EPA tajfun Filipini
tajfun Filipini EPA tajfun Filipini
tajfun Filipini Reuters tajfun Filipini
tajfun Filipini Reuters tajfun Filipini
tajfun Filipini Reuters tajfun Filipini
tajfun Haiyan tajfun Haiyan Reuters tajfun Haiyan
/ 9