logo-zurnal24.si-full logo-zurnal24.si-reduced

To nastaja na našem izredno obleganem odseku

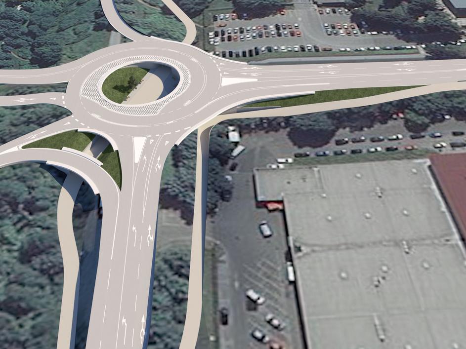
Priključek Leskoškova cesta Dars Priključek Leskoškova cesta
Priključek Leskoškova cesta Dars Priključek Leskoškova cesta
Priključek Leskoškova cesta Dars Priključek Leskoškova cesta
Priključek Leskoškova cesta Dars Priključek Leskoškova cesta
Priključek Leskoškova cesta Dars Priključek Leskoškova cesta
/ 5