Svet
17 ogledov

"V zrak lahko dvigne letalo"

Patricia EPA
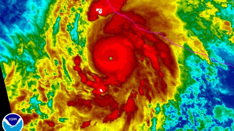
Vremenoslovci orkan, ki se bliža mehiški obali, primerjajo z Haiyanom, ki je leta 2013 na Filipinih ubil 6.300 ljudi.

Orkan Patricia, ki se bliža jugovzhodni obali Mehike, naj bi jo z vetrovi do 325 kilometrov na uro dosegel popoldne ali ponoči.

Tuji mediji poročajo o "najhujšem orkanu", ki je kdaj koli divjal nad območjem, svetovna meteorološka organizacija (World Meteorological Organization) pa ga primerja z Haiyanom, ki je leta 2013 na Filipinih ubil 6.300 ljudi. Orkan Haiyan je bil sicer obsežnejši, a vetrovi, ki jih s sabo prinaša Patricia so močnejši.

Patricia | Avtor: Profimedias Profimedias

Razglasili izredne razmere

Nacionalni center za orkane ZDA je sporočil, da gre za najmočnejši zabeležen orkan na vzhodnem Pacifiku ali Atlantiku in lahko povzroči katastrofo.

Mehiška vlada je razglasila izredne razmere v 56 obalnih krajih. Na ogroženih območjih živi okoli 400 tisoč ljudi, mnoge med njimi so že evakuirali in zaprli šole v zveznih državah Jalisco, Colima in Guerrero. Oblasti so pripravile začasne namestitve za 259 tisoč ljudi. 

Patricia | Avtor: EPA EPA
Orkan naj bi po napovedih ameriških vremenoslovcev v zvezne države Guerrero, Michoacan, Colima in Jalisco ob močnih vetrovi prinesel močno deževje s poplavami morja in do štiri metre visokimi valovi ter plazovi. "Vetrovi orkana so dovolj močni, da lahko "dvignejo letalo v zrak in ga tam držijo", je povedala Claire Nullis, tiskovna predstavnica WMO.

Komentarjev 1
Napišite prvi komentar!

Za komentiranje je potrebna prijava/registracija. Če nimate uporabniškega računa, izberite enega od ponujenih načinov in se registrirajte v nekaj hitrih korakih.