Prijava Facebook prijava
logo-zurnal24.si-full logo-zurnal24.si-reduced
  • Slovenija
    • Slovenija
    • Intervjuji
    • Komentarji in kolumne
    • Črna kronika
    • Festival za ljubitelje živali
    • E-Life
    • Poglej rubriko
  • Svet
  • Šport
    • Šport
    • Olimpijske igre
    • Nogomet
    • Košarka
    • Moto športi
    • Kolesarstvo
    • Zimski športi
    • Poglej rubriko
  • Magazin
    • Magazin
    • VIP
    • Film & Glasba & TV
    • Bizarno
    • Lepota & telo
    • Odnosi in prosti čas
    • Horoskop in Numerologija
    • Joonglaa
    • Poglej rubriko
  • Zdravje
    • Zdravje
    • Eko kotiček
    • Fitnes
    • Aktualno
    • Otrok
    • Življenjski stil
    • Prehrana
    • Intima
    • Sem s teboj
    • Poglej rubriko
  • Avto
    • Avto
    • Testi
    • Avto nasveti
    • Kombinirana
    • Na Štrom
    • Iz druge roke
    • Šofer naj bo
    • Poglej rubriko
  • Popotnik
  • Pod Streho
    • Pod Streho
    • Gradimo & Obnavljamo
    • Nepremičnine
    • Varčna Hiša
    • Na vrtu
    • Poglej rubriko
  • Trajnostno
  • Novice
  • Žurnal priporoča
  • Moj sanjski šiht
Spremljaj nas:
Najdenih 5 rezultatov za „

orkan dorian

”
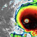
Orkan Dorian na Bahamih
Bahami

Po orkanu Dorian so se prešteli, podatki so strašljivi

Po orkanu Dorian, ki je v začetku meseca pustošil po Bahamih, so tamkajšnje oblasti danes sporočile, da pogrešajo 2500 …
orkan Dorian Bahami
Svet

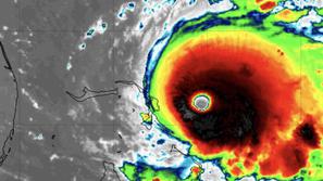
Orkan Dorian se je znova okrepil

Dorian se je okrepil v orkan tretje stopnje z vetrovi do 185 kilometrov na uro. Število žrtev orkana na Bahamih se je m…
Bahami
Svet

Posnetki iz zraka razkrivajo katastrofalne posledice

orkan Dorian Bahami
Svet

"Mislili so, da so varni, a zdaj kličejo na pomoč"

Na stotine domov je poplavljenih, uničenih. Do zdaj je potrjenih pet mrtvih, a se bojijo, da je žrtev še več.
Toča, dež, nevihta
Svet

Najhujši vihar letos, a pobegnili bi mu lahko peš

Orkan Dorian, ki se bliža ameriškemu otočju Bahami, se je danes okrepil v orkan najvišje, pete stopnje. Veter v orkanu …
logo-zurnal24.si-full logo-zurnal24.si-reduced
  • O žurnalu
  • Uredništvo
  • Oglaševanje
  • Zaposlitev
  • Pravno obvestilo
  • Kodeks
  • Piškotki
  • Nagradne igre
  • Pravila zasebnosti
  • RSS
Spremljaj nas
Partnerji:
  • Vreme.net
  • bolha.com
  • med.over.net
  • Style.Over.Net
Powered by: Publitzer
Copyright 2026. Zurnal24 | Styria Media si

Žurnal24.si je osrednji slovenski novičarski portal, ki se po dosegu uvršča med prve tri najbolj obiskane slovenske spletne strani. Žurnal24 je mesto, kjer lahko prebirate aktualne, ekskluzivne, domače, tuje in slovenske novice. Naši novinarji se pri svojem delu najstrožje držijo novinarskega kodeksa in informacije striktno preverjajo. Navajajo vire, kar žal ni praksa v slovenskem medijskem prostoru in dajejo v svojih novicah prostor vsem, ne glede na politično ali kakršno koli drugo pripadnost. ... Preberi več